İdman 2025 Dünya Kubokuna Vəsiqə Qazanan Kürasao: Bu Kiçik Ada Ölkəsi Haradadır və Əhalisi Nə Qədərdir?... Kürasao, kiçik ərazisinə və azsaylı əhalisinə baxmayaraq, 2025-ci il Dünya Kubokuna vəsiqə qazanmaqla futbol aləmində diqqətəlayiq bir uğura imza atdı Son Xeberler 47 19.11.2025
Dünya Kolumbiya Prezidenti ABŞ-ın Karib və Sakit Okeandakı Əməliyyatlarını Dayandırmaq üçün BMT-yə Müraciə... Kolumbiya Respublikasının Prezidenti Qustavo Petro, ABŞ-ın Karib dənizi və Sakit Okean sularında guya narkotik daşıyan gəmilərə qarşı həyata keçirdiyi Son Xeberler 49 01.11.2025
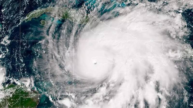
Dünya "Melissa" Qasırğası Karib Hövzəsini Dağıtdı: Ölüm Sayı 50-yə Çatır, Zərər Milyardlarla Hesablanır... Karib dənizi hövzəsində təsirini davam etdirən "Melissa" qasırğası regionda ciddi dağıntılara və böyük can itkisinə səbəb olub. Son məlumatlara görə, Son Xeberler 57 31.10.2025
Dünya “Melissa” qasırğası 40-dan çox insanın həyatına son qoyub Karib hövzəsi ölkələrindən keçən “Melissa” qasırğası 40-dan çox insanın həyatına son qoyub. Bu təbii fəlakət Haiti, Dominikan Respublikası və Yamayka Azəri Xəbər 59 31.10.2025
Dünya Böyük Britaniya Karib ölkələrinə təcili yardım ayırıb Böyük Britaniya hökuməti “Melissa” qasırğasının Karib hövzəsində yaratdığı dağıntılardan sonra bölgəyə dərhal humanitar yardım göndərib. Dağıntıların Azəri Xəbər 60 30.10.2025
Dünya Karib hövzəsini vuran "Melissa" qasırğası: Onlarla ölən, Tamamilə dağılmış ərazilər Qasırğa "Melissa" Karib hövzəsində dağıdıcı təsirini davam etdirir, nəticədə onlarla insanın həyatına son qoyur. Fırtına evləri və mühüm infrastruktur Son Xeberler 57 30.10.2025
Dünya Karib Dənizində Əsrin Qasırğası "Melissa": Haitidə 20-dən Çox İnsan Həlak Oldu Karib dənizi bölgəsində son yüzilliyin ən güclü qasırğalarından biri kimi təsvir edilən "Melissa", oktyabrın 28-də Yamayikanı vurduqdan sonra Kuba və Son Xeberler 50 29.10.2025
Dünya "Melissa" qasırğası 49 nəfərin ölümünə səbəb olub “Melissa” qasırğası Karib hövzəsi ölkələrinə ciddi ziyan vurub, fəlakət nəticəsində həyatını itirənlərin sayı 49 nəfərə çatıb. Şiddətli daşqınlar və g Azəri Xəbər 55 29.10.2025
Dünya Güclü "Melissa" Qasırğası Yamaykaya Çatdı - Karibdə 7 Nəfər Həlak Oldu və Kütləvi Təxliyyələr Başlad... MONTEQO BEY, 29 Oktyabr (Sinxua) - Kateqoriya 5 dərəcəli "Melissa" qasırğası çərşənbə axşamı Yamaykanın cənub-qərb sahillərinə çatdı. Bu güclü təbii f Son Xeberler 50 29.10.2025
Dünya Venesuela ABŞ-ın Karibdəki Hərbi Təlimlərini Qınayır: Təhdid və Təxribatdır KARAKAS, 27 Oktyabr (Sinxua) -- Venesuela hökuməti, ABŞ ordusunun Karib dənizi hövzəsində keçirdiyi hərbi təlimləri sərt şəkildə qınadığını açıqlayıb. Son Xeberler 52 27.10.2025